唐建国:污泥稳定化处理产物转化机理及可利用价值揭示

2021-01-21 16:55发布

本文看点

➤ 污泥处理处置现状与需求分析

➤ 污泥处理处置技术路线的选择

➤ 稳定化处理过程分析及产物特征

➤ 稳定化过程物质转化机理解析

➤ 稳定化处理产物可利用价值揭示

➤ 稳定化处理产物生态利用案例



污泥处理处置现状与需求分析 


1、处置现状


➤  根据2016年国家住建部统计,我国日均污泥产量约13.0万立方米(以含水率80%计),而污泥无害化处置设施规模仅为3.74万立方米,处置率尚不足30%。


➤ “十三五”城镇污水处理及再生利用设施建设共投资约5644亿元。其中,新增污水处理设施投资1506亿元,新增或改造污泥无害化处理处置设施投资294亿元,长期的“重水轻泥”导致污泥严重“积压”。


➤ 南北泥质差异大(VS/SS 35%~74%);合流制地区,污泥含砂量高、有机物含量低;


➤  标准规范制度严格,未经稳定化处理的污泥不允许进入土地;对重金属和持久性有机物的要求较为严格。


 


2、需求分析


◆资源紧缺 :污泥是氮、磷资源和有机质的载体(每千克干物质中含24 g磷化合物、44 g氮化合物),从污泥中回收磷已是大势所趋,德国已实施强制磷回收。


◆ 能源价格上涨:高能耗处理工艺将受到限制,向污泥索要能源亦是大势所趋。污泥厌氧消化产生的沼气是清洁的生物质能源——降解1kg有机质产生0.8标立方米沼气,1标立方米沼气可发2.5度电。


◆ 土壤有机质流失:化肥的使用导致土壤有机质流失,近50年内土壤有机碳的损失量为380亿吨,腐殖质损失量比1万年农业文明以来平均腐殖质损失高约24.3倍。


◆ 碳排放量控制严格:受全球气候变化的影响,碳足迹分析已成为比选和评价污水处理和污泥处理处置工艺技术路线的重要方法。


污泥处理处置技术路线的选择


处理与处置的区别:处理的是原生污泥,处置的是处理后产物。


处理与处置的关系:处置决定处理,处理(产物)必须满足处置要求。


  


污泥处理处置三条主流技术路线


有三点值得注意:


(1)应急不能够替代主流;


(2)土地利用概念在我国太宽泛,缺少与后续衔接;


(3)焚烧不低碳。


1、污泥处置方式的选择


产物资源化利用是污泥处置最高尚的目标。


选择污泥处理处置技术路线的核心是选择适合当地条件的处置方式和能够满足其产物处置要求的处理工艺。


为了确保处置的畅通,一个地区应该有应急情况下的处置方式,如焚烧的灰渣用于建材;或者厌氧消化、高温好氧发酵的有机土用于园林绿化不畅通时,填埋是备用的处置方式。


污泥处置方式的选择实际上是围绕有益物质利用和有害物质影响这对矛盾展开的。


世界各国相关技术发展和进步也都是以弱化这一矛盾为目标,着力改善处理技术。


世界各国经处理后的污泥产物,大多以循环利用为主要处置方式。只有在污泥循环利用风险过大时,才考虑经焚烧处理,灰渣进行填埋。


当前,德国实施污泥前端进行厌氧消化,获得沼气能源,后端焚烧处置,并从灰渣中回收磷矿资源,实现资源的最大化回收。


国际上污泥循环利用情况


美国:60%农业利用;


英国:79%土地利用;


丹麦、挪威:70%以上;


法国:50%农业利用;


澳大利亚:55%农业利用;


奥地利:部分地区支持农用;


荷兰、比利时:禁止农用;


德国:2017年8月出台污泥法(AbfKlärV),强制磷回收,减少土地利用,但仍有30%农用和景观用。


2、污泥处理工艺的选择


目的:保证处理产物在环境中得到安全消纳,这种消纳就是处置。


原则:以减量化为基础,以稳定化为核心,以资源化利用为目标,以对环境总体影响最小为宗旨。


稳定化含义:污泥中的固体物质、产生气味的物质和病原菌得到减少;其内涵是稳定化处理后的产物不再腐败发臭,而不腐败发臭的根本在于微生物对产物发生作用是缓慢的。


稳定化处理工艺:厌氧消化、好氧发酵、干化焚烧、热解(碳化)。


处置的是稳定化处理产物。


 


污泥处理工艺的选择


3、存在问题


(1)国内外衡量稳定化程度的标准欠合理


◆ 国内衡量稳定化的标准是有机物降解率(《室外排水设计规范》、《城镇污水处理厂污染物排放标准》等),是不充分且不合理的,比如好氧发酵加入大量辅料导致有机物降解率失去意义,且未考虑进泥泥质的差异;


◆ 美国503法案对污泥稳定化程度的判定(主要是病原体的控制)采用过程参数控制,如停留时间、反应温度等;


◆欧盟《污泥利用指导规程》规定:稳定化后污泥中VS降低38%,或稳定化污泥的氧利用率低于1.5 mgO2/(gVSS·h);


◆ 有文献提出,用厌氧消化后污泥中的有机酸含量判断污泥稳定化程度(有机酸含量小于300 mg/L认为稳定);


(2)对稳定化处理产物的价值认识不到位


稳定化产物中的腐殖酸(包括富里酸和胡敏酸)是自然生态系统中重要的有机碳源,对土壤保水保肥、农林作物增产有重要意义,但生物腐殖酸的价值尚未得到充分重视。


(3)稳定化处理产物的出路问题


对稳定化产物认识的不充分、处置过程潜在的环境影响,使得处理与处置未得到有效衔接。


稳定化处理过程分析及产物特征


1、污泥样本来源


污泥样本来自于全国十六座污水处理厂的污泥处理工程、城市污泥处理处置中心以及典型污泥处理工程。其中,9座采用厌氧消化处理工艺,7座采用好氧发酵处理工艺。


  


(a)高温热水解+厌氧消化处理工艺;(b)好氧发酵处理工艺。


 


北方泥质:VS/SS 50.3%~73.5%;南方泥质:VS/SS 35.4%~52.7%。各厂进泥泥质


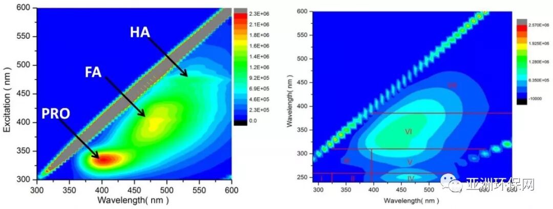
2、三维荧光图谱表征蛋白质和腐殖酸


 


蛋白质类和腐殖酸类物质是具有荧光特性的有机物,三维荧光(3D-EEM)图谱的半定量分析能将蛋白质的减量和腐殖酸的增量耦合起来。


荧光复杂指数(Complexity Index,CI),反映了复杂有机物与简单有机物含量的比值,也在一定程度上反映了物料中易生物降解组分(蛋白质类物质)的减少和复杂、稳定组分(腐殖质类物质)的增加,也称之为荧光稳定化指数。     


3、厌氧消化过程


表:各厂厌氧消化进泥及产物特征分析



表中黄色区域:


(1)厌氧消化的九个厂中,仅A4~A6厂有机物减量40%以上;


(2)A4~A6厂进泥有机物>60%且采用高温热水解工艺;


(3)进泥泥质和处理工艺影响有机物的降解率。


表中绿色区域:


(1)采用高温热水解工艺的蛋白质减量明显高于传统工艺;


(2)多糖的减量相对不明显,如A9厂,产物中的多糖反而增加,采用有机物降解率作为稳定化判定指标值得商榷。


表中紫色区域:


(1)厌氧消化处理后,腐殖酸含量和CI指数均有不同程度地增加,腐殖酸增幅24~117 mg/gVS;


(2)A9厂协同餐厨餐厨废弃物厌氧消化,在有效的消化时间内,有机物降解不彻底。


厌氧消化有机物转化过程分析


以A4厂为例,采用“高温热水解+中温两级厌氧消化+板框脱水”处理工艺,处理规模100万m3/d。



(1)经热水解和厌氧消化后,蛋白质减量64.6%,多糖减量55.5%,腐殖酸增量23.8%,简单有机物向复杂有机物转化;


(2)经板框脱水后,14.2%的腐殖酸随脱水滤液带走,滤液中检测出多糖139.2mg/L和腐殖酸911.0mg/L,可作液态肥料;


(3)荧光谱图分析:热水解过程,简单有机物向富里酸转化;厌氧消化过程,简单有机物降解,同时富里酸逐渐转化、聚合成胡敏酸类物质;脱水滤液中,主要是富里酸和腐殖化中间产物;


(4)荧光稳定化指数:热水解前后CI指数变化不大,厌氧消化后,CI指数显著增加(CI=7.5),板框脱水后,CI指数回降至5.4,与腐殖酸变化规律一致。


4、好氧发酵过程


表:好氧发酵各厂进泥泥质及产物特征分析



表中黄色区域:


(1)好氧发酵的七个厂中,有机物降解率差异较大,有些厂无法计算,主要是由于大量辅料的加入;


(2)好氧发酵的蛋白质减量明显高于厌氧消化,产物中蛋白质的残余量也更低。


表中绿色区域:


(1)好氧发酵后腐殖酸含量显著增加,产物中含量高于200 mg/gVS;


(2)B2和B3厂,因进泥有机物含量低于40%,添加了大量辅料,产物中腐殖酸含量“被稀释”。


好氧发酵过程有机物转化过程分析


以B4厂为例,处理规模600 t/d,采用蘑菇渣作辅料,混合比例为回料:原泥:辅料 = 2:1:0.2,一次仓发酵14天,二次仓发酵20天,共计34天(冬季)。



发酵过程蛋白质减量显著,多糖减量明显但不彻底,这主要是由于辅料的加入,引入的多糖(以纤维素为主)所致;


经过发酵和陈化后,腐殖酸增量28.0%;从腐殖酸组分上来看,经过一次发酵,富里酸增加,经过二次发酵和陈化,富里酸减少,胡敏酸增加,说明好氧发酵过程是富里酸合成、转化并聚合成胡敏酸的过程,且陈化是重要的腐殖化过程。


荧光图谱分析佐证了这一过程:一次发酵,多糖蛋白质等降解,合成富里酸;二次发酵过程,富里酸缩合成腐殖化中间产物和胡敏酸;陈化过程,腐殖化中间产物聚合成大量胡敏酸。


5、污泥稳定化程度的判定


腐殖酸含量:反映产物的价值;


CI指数:反映蛋白质的降解程度和腐殖酸的合成率。


污泥稳定化程度的判定方法:


1.  稳定化产物中的腐殖酸总量,富里酸和胡敏酸之和≥150 mg/gVS;


2.  稳定化产物的荧光稳定化指数≥5.0;


认为厌氧消化或好氧发酵达到稳定化水平,否则未达到稳定化水平。


优点


(1)充分考虑了简单有机物的降解和复杂有机物的合成;


(2)充分体现了稳定化产物的生态利用价值(生物腐殖酸);


(3)有效避免了进泥泥质的差异和添加辅料的影响。


结合各厂的实际运行情况,利用统计学分析方法,初步得出,当稳定化过程腐殖酸含量增幅大于20%,产物中腐殖酸含量高于150 mg/gVS,此时,CI指数大于5.0。


污泥稳定化过程物质转化机理解析


1、稳定化过程多糖、蛋白质等物质的分解原理


(1)蛋白质的降解过程


➢ 无氧条件下:蛋白质水解为氨基酸,一种氨基酸作为氢的供体,进行氧化脱氨,另一种氨基酸作氢的受体,进行还原脱氨,两者偶联进行氧化还原脱氨。(Stickland反应)


 


➢ 有氧条件下:蛋白质水解为氨基酸,氨基酸脱氨基生成乙酰辅酶A,再进入三羧酸循环,氧化为CO2和H2O。


 


(2)多糖的降解过程


➢无氧条件下:葡萄糖或糖原通过EMP(己糖二磷酸途径)、HMP(己糖磷酸途径)或ED途径(2-酮-3-脱氧-6-磷酸葡萄糖酸途径)酵解为丙酮酸,然后丙酮酸在厌氧条件下被各功能厌氧微生物经不同代谢途径形成多种短链脂肪酸代谢产物。


 


➢ 有氧条件下:丙酮酸在有氧条件下先转化为乙酰辅酶A,再进入三羧酸循环,氧化成CO2和H2O。


 


物质降解过程图解


3、稳定化过程腐殖酸类物质的合成原理


(1)糖-胺合成理论


Maillard和Marcusson等人认为,纤维素被微生物分解后形成低分子糖类,随后经芳构化形成缩合芳环,进而形成腐殖酸类物质;同时,微生物代谢产物中含氮化合物的氨基,与还原糖中的醛基缩合形成氨基葡萄糖,进而聚合成无定型的“黑蛋白素”,认为就是腐殖酸类物质。


(2)木质素-蛋白质合成理论


Waksman等人认为,木质素失去甲氧基生成邻位羟基,苯酚脂肪链被氧化成羧基,酚被氧化成醌,再与氨类和含氮有机物一起在微生物的作用下发生缩合反应,生成腐黑物,再形成胡敏酸,最后形成富里酸。同时,微生物将一部分不稳定组分降解为二氧化碳和水。


(3)木质素-丙酮醛-氨基酸合成理论


Enders等人认为,木质素不仅本身可以生成胡敏酸,而且纤维素、半纤维素被微生物分解为丙糖,再氧化为丙酮酸;丙酮酸与蛋白质(来自死亡动、植物)降解得到的氨基酸,以及木质素降解生成的酚类,共同缩合成富里酸,然后再聚合成胡敏酸,最后形成褐煤。


(4)多酚合成理论


Flaig和Stevenson发展了Enders理论,强调纤维素、半纤维素的葡萄糖苷、单宁酸以及其他非木质素物质,只要能被微生物利用,几乎都能转化为多酚,它们在多酚氧化酶的作用下转化为醌,再与氨基化合物反应,缩合成富里酸,最后聚合成胡敏酸和腐黑物。


目前,土壤学家和煤化学家普遍认同多酚合成理论,该理论肯定了腐殖酸合成的复杂性和多样性。


用多酚合成理论解释污泥在稳定化过程中腐殖酸类物质的合成原理


细菌在一定条件下(长泥龄、高温等)发生细胞裂解,胞内多糖物质和胞外游离的有机碳化合物在氧化酶的作用下,被微生物转化为酚类,一部分酚类直接聚合成腐殖酸类物质,一部分酚类在多酚氧化酶的作用下转化成醌类和酮酸,再与氨基化合物反应,缩合成多环体系,即富里酸,最后聚合成胡敏酸和腐黑物。


 


物质合成过程图解


稳定化产物可利用价值揭示


稳定化产物(又称之为有机炭土、生物炭土)因富含有机质、腐殖酸、微量营养元素、多种氨基酸和酶类等,被认为有重要的土地利用潜力。其中,腐殖酸是一种富含多种活性含氧官能团的大分子有机物。


1、腐殖酸对土壤生态系统的作用


土壤结构的稳定剂:腐殖酸的胶体性能能改善土壤的团粒结构,使土壤吸水量增大,透气性增强,孔隙度和持水量增加,有助于提高土壤的保水、保肥能力,从而改善作物的土壤环境。


土壤的改良剂:腐殖酸含有较多的活性基团,盐基交换容量大,能够吸附土壤中更多的可溶性盐,同时阻碍较大数量的有害阳离子,降低土壤盐浓度和酸碱度,达到酸碱平衡,从而起到改良盐碱土壤的作用。


重金属的固定剂:腐殖酸含有多种类的活性基团,与重金属离子、放射性核素以及芳香化合物等物质发生吸附、离子交换、氧化还原、络合鳌合等各种物理化学反应,对转化和降解污染物,净化土壤环境起重要作用。


微量元素的溶解剂:腐殖酸可以与中、微量元素发生螯合反应,生成溶解性好、可被植物吸收和利用的螯合物,从而有利于植物对其吸收和利用。


植物养料的仓库:腐殖酸虽不能直接被植物吸收利用,但在固定、储存营养元素方面有重要作用。


2、腐殖酸的分类


腐殖酸按其在环境中的形态又分为富里酸和胡敏酸。


富里酸是一类水溶性的小分子腐殖酸,在土壤中有较好的扩散性和渗透性,可被植物直接吸收利用;


胡敏酸是一类非水溶性的大分子腐殖酸,化学结构相对稳定,在土壤中的迁移性较差,不能被植物直接吸收利用,但在固定、储存营养元素、改善土壤肥力等方面发挥着重要功能。


3、腐殖酸在地球化学中的重要性


在碳循环中,腐殖酸是动植物残体回归自然生态系统的中间介质,是能量交换的载体,也是化石能源(煤、石油、天然气)形成的前驱物。


 


污泥的稳定化过程是模仿自然过程,用工程化手段实现了微生物残体、有机物向腐殖酸的转化,促进了腐殖酸在地球化学中的碳循环。


4、稳定化产物出路的多样性


沼气、沼渣和沼液是厌氧消化的三大产物。


沼气的热电联产已实现产业化(1标立方米沼气可发2.3度电);


沼渣富含有机质、腐殖酸、微量营养元素、多种氨基酸和酶类等,能起到改良土壤的作用,有重要的土地利用价值(东北黑土地的有机质中有32%的腐殖酸,而污泥处理产物的腐殖酸占总有机质的10-20%)。


沼液,富含液态腐殖酸、无机氮磷、微量营养元素等,其速效营养能力强,养分可利用率高,是多元的速效复合肥料。



创新产物出路:产物土地利用是污泥产物资源化利用最大的载体。为推动产物的土地利用,当前市场上出现了“移动森林”、“移动草坪”、行道树的“缓释肥料棒”等产品,将处理产物提升到产品,对污泥处理企业而言,有了新的盈利点。


污泥稳定化产物生态利用案例


1、镇江污泥处理项目


 


镇江污泥处理项目充分利用厌氧消化产物,将产物脱水、太阳能干化后制成生物炭土,使用控根快速育苗容器,利用滴灌技术,将生物炭土与普通黄土按一定比例混合,配成适宜苗木生长的种植土,也称之为“移动森林”。目前,镇江项目基地移动森林有135亩,种植有桂花、海棠、紫薇和红枫等树种,配土比例有1:1、1.5:1(生物炭土:黄土)和全炭土。


表:镇江污泥处理项目泥样和土样中有机质、元素和重金属含量分析



表:镇江污泥处理项目泥样和土样中重金属元素的分析



2、奉贤污泥处理项目



奉贤污泥处理项目采用膜覆盖好氧发酵工艺,发酵产物陈化后作为腐殖土,与自然土壤按照一定比例调配,配成适宜苗木生长的种植土,使用控根快速育苗容器,培育香樟等树种。


结束语


➤ 没有创新的方式,好氧发酵、厌氧消化后的产物土地利用就成了一句空话;


➤ 移动森林既解决了污泥处理产物的出路,又具有经济实用价值,是当前我国污泥处置行之有效的出路;


➤只有把处理产物出路做通了,才能够体现“绿色、循环、低碳”。


本文根据唐建国总工上海污泥处理产物出路研讨会发言整理而成,未经本人审阅。


文章来源:唐建国  亚洲环保网  2019-01-11

赞赏支持